Introduction
One of my customers asked me about migrating Horizon linked clones (with persistent disks) from one Nutanix cluster to another.
Traditional way of doing this is to detach the persistent disks and then recreate the persistent desktops as documented below.
But if the requirement is to have minimum downtime and to minimize touching the production environment (no detaching of disks and recreation of current desktop), you can do a copy of disks and do an import as documented below.
Step 1: Make a list of all persistent disks and the users associated with them.
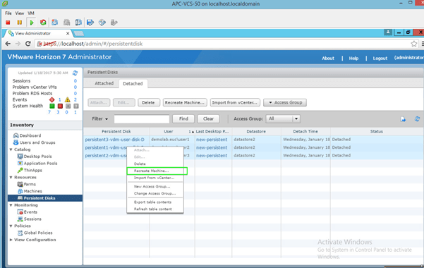
- Below is my VDI pool with 3 persistent desktops.

- If you go to the persistent disks portion, you ll find the names of the persistent disks and the associated users.

- Use Powershell to get a complete and detailed list.

Step 2: New Datastore creation
- Create a new datastore attached the new VMware cluster that you want to migrate to.
- Make sure that all users shutdown their desktops so that persistent disks are not being written to.
- Once all the VMs are shutdown, copy over the persistent disks to the new datastore.
- In my example, I have copied over the 3 disks to a new datastore as below.

Step 3: Create a new desktop pool on the new VMware Cluster
- You will now create a Desktop Pool for Persistent disk based desktops on the new VMware cluster.








Ensure that you select the new VMware Cluster, the correct parent VM, snapshot and the folder location.






New Desktop Pool gets created.
Step 4: Import the persistent disks and recreate desktops
Click on Persistent Disks and select the “Detached” tab. You will find no disks.

Import the persistent disks from the new datastore and assign users to them. You must refer to the user assignment list created earlier to assign the correct disk to the correct user.

The disks get listed as below.

Recreate the persistent desktops from the disks.

Desktops VMs get recreated.

Another possible option(I have not tested this myself):
- Add the new Nutanix cluster into the existing vCenter Cluster. So you will end up having a single vCenter Cluster with 2 Nutanix clusters.
- Schedule downtime and ensure users are not using the system.
- A new storage(of the newly added Nutanix cluster) appears in the vCenter Cluster.
- DRS and HA need to disabled.
- You may migrate the persistent desktops using the “Rebalance” option. Something like this http://blog.purestorage.com/vmware-view-desktop-migration/
- You should now migrate the VMs to the new Nutanix nodes from the old.
- You will now have the desktops running off the new Nutanix clusters without changing any settings in Horizon.
please how to script the import vmdk persistent disk from vcenter tasks and recreation tasks